LETIŠTĚ
LETADLA
AKCE
AEROTOUR
VÝCVIK
HISTORIE
HLAVNÍ STRANA
KONTAKT
INFORMACE O LETIŠTI
Veřejné vnitrostátní letiště
LKSZ - Sazená
KDE NÁS NAJDETE
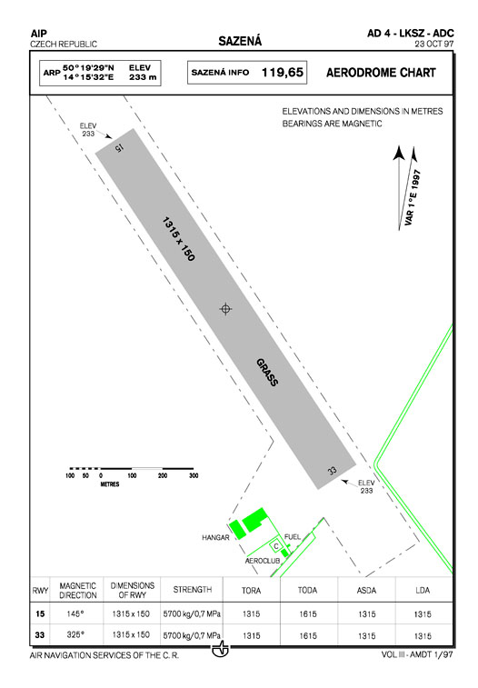
Poloha a situace na mapě v AIP CR.
Aeroklub Kralupy nad Vltavou (c) 2008 / webmaster: websazena@seznam.cz